1. admin@deshmediabd.info : admin :
  2. support@bdsoftinc.info : adminr :
শুক্রবার, ১৫ মে ২০২৬, ০৯:৩২ অপরাহ্ন
সর্বশেষ সংবাদঃ
হামের প্রাদুর্ভাব নিয়ে অপপ্রচারের প্রতিবাদ ডা. তাসনিম জারার, সংসদীয় তদন্ত কমিটি গঠনের দাবি কৃত্রিম সংকট সৃষ্টিকারীদের বিরুদ্ধে কঠোর হুঁশিয়ারি চিফ হুইপের ঐতিহাসিক ফারাক্কা দিবস: অভিন্ন নদীর পানির ন্যায্য হিস্যা আদায়ের দাবি বিএনপির বিজয় দিবসে শাহজালাল বিমানবন্দরের তৃতীয় টার্মিনাল উদ্বোধনের লক্ষ্য: জুনে শুরু হচ্ছে ঋণের কিস্তি বৈধ পথে রেমিট্যান্স প্রেরণে উৎসাহ দিতে আসছে ‘প্রবাসী কার্ড’, দুই মাসের মধ্যে চালুর ঘোষণা ঈদুল আজহায় সাত দিনের সরকারি ছুটি ঘোষণা দেশের বাজারে সোনার দাম ভরিতে সর্বোচ্চ ২ হাজার ২১৬ টাকা কমাল বাজুস বাংলাদেশ ও যুক্তরাষ্ট্রের মধ্যে কৌশলগত জ্বালানি সহযোগিতা বিষয়ক সমঝোতা স্মারক সই গণতান্ত্রিক মূল্যবোধ ও আন্তর্জাতিক শান্তি প্রতিষ্ঠায় বাংলাদেশের অঙ্গীকার পুনর্ব্যক্ত ঢাকা দক্ষিণ সিটিকে দেশের সেরা হিসেবে গড়ে তোলার প্রত্যয় ডিএসসিসি প্রশাসকের
Others

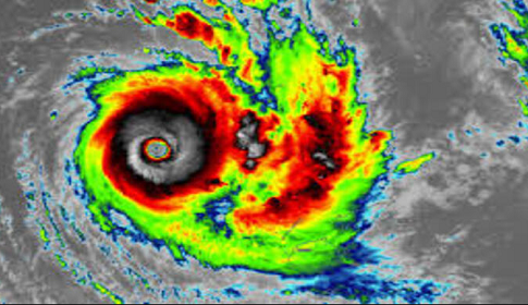
আগামী সপ্তাহে আঘাত হানতে পারে ঘূর্ণিঝড় ‘আসানি’

স্টাফ রিপোর্টার : বঙ্গোপসাগরে সৃষ্ট লঘুচাপটি ঘূর্ণিঝড়ে পরিণত হয়ে আগামী সপ্তাহে বাংলাদেশের উপকূল অতিক্রম করতে পারে। বাংলাদেশ আবহাওয়া অধিদপ্তর ও আবহাওয়া বিশেষজ্ঞরা এ কথা জানিয়েছেন। লঘুচাপটি সুস্পষ্ট লঘুচাপ, নিম্নচাপ, গভীর

বিস্তারিত...

কাজ বন্ধের হুশিয়ারি ঠিকাদার সমিতির

নির্মাণসামগ্রীর দাম লাগামহীনভাবে বাড়ার প্রতিবাদে এলজিইডি ভবনের সামনে অবস্থান ধর্মঘট করেছে এলজিইডি ঠিকাদার সমিতি। এ সময় নির্মাণসামগ্রীর দামের সঙ্গে চলমান উন্নয়ন প্রকল্পের ব্যয়ের সমন্বয় না হলে চট্টগ্রামে সব ধরনের কাজ

বিস্তারিত...

পাসপোর্ট হারিয়ে গেলে করণীয়

দেশের আভ্যন্তরীণ বিভিন্ন কার্যক্রম থেকে শুরু করে বিদেশে যাওয়া এবং দেশের বাইরেও বিভিন্ন কাজে সবচেয়ে অবধারিত বস্তুটির নাম পাসপোর্ট। বিভিন্ন প্রয়োজনে এই অতি মূল্যবান কাগজটিকে প্রায় ক্ষেত্রেই সাথে নিয়ে চলতে

বিস্তারিত...

যান্ত্রিকীকরণে বড় হচ্ছে কৃষি-অর্থনীতি

এস এম মুকুল হালের বলদ, লাঙল-জোয়ালের ওপর কৃষকের ভরসার সেদিন এখন আর নেই। আধুনিক প্রযুক্তির উৎকর্ষতায় নতুন নতুন যন্ত্রপাতির ব্যবহারে দেশের কৃষিখাতে বৈপ্লবিক পরিবর্তন এসেছে। এসব যন্ত্রের ব্যবহারের ফলে কৃষকের

বিস্তারিত...

জাওয়াদের প্রভাবে সারাদেশে টানা বৃষ্টি

ঘূর্ণিঝড় জাওয়াদ শক্তি হারিয়ে বঙ্গোপসাগরে নিম্নচাপে পরিণত হয়েছে।  ঘূর্ণিঝড়ের প্রভাবে উপকূলীয় জেলাগুলোসহ বিভিন্ন জেলায় রোববার থেকে টানা গুঁড়িগুঁড়ি ও মাঝারি বৃষ্টিপাত হচ্ছে। নদনদীতে জোয়ারের পানি স্বাভাবিকের চেয়ে দুই ফুট বেশি

বিস্তারিত...

জিতল বৃষ্টি, মাঠেই আসা হলো না দুই দলের

ঢাকা টেস্টে গতকালের পুনরাবৃত্তি ঘটল আজ। দ্বিতীয় দিনের মতো আজ তৃতীয় দিনেও(সোমবার) জয় হলো বৃষ্টির। বৃষ্টিতে ভেসেই গেল ঢাকা টেস্টের তৃতীয় দিনের খেলা। মাঠে গড়াল না একটি বলও। বাংলাদেশ বনাম

বিস্তারিত...

মেয়র আব্বাস ৩ দিনের রিমান্ডে

ডিজিটাল নিরাপত্তা আইনের মামলায় গ্রেফতার রাজশাহীর কাটাখালী পৌরসভার মেয়র আওয়ামী লীগ নেতা আব্বাস আলীর তিন দিনের রিমান্ড আবেদন মঞ্জুর করেছেন আদালত। সোমবার দুপুরে রাজশাহী মেট্রোপলিটন ম্যাজিস্ট্রেট আদালত ২-এর বিচারক শংকর

বিস্তারিত...

নারী নির্যাতন মামলার আসামি, জজের যোগদান স্থগিত

নারী নির্যাতন মামলার আসামি নব-নিয়োগপ্রাপ্ত বিচারক মো. শাহ্ পরানের যোগদান স্থগিত করা হয়েছে। আইন, বিচার ও সংসদ বিষয়ক মন্ত্রণালয় বৃহস্পতিবার  এক সংবাদ বিজ্ঞপ্তিতে এ তথ্য জানিয়েছে। ওই বিজ্ঞপ্তিতে বলা হয়েছে,

বিস্তারিত...

বিশ্ববাজারে কমলেও দেশে জ্বালানি তেলের দাম এখনই কমছে না

নিজস্ব প্রতিবেদক বিশ্ববাজারে জ্বালানি তেলের দাম কমলেও তা যথেষ্ট নয়, তাই দেশে এখনই জ্বালানি তেলের দাম কমানো হচ্ছে না বলে জানিয়েছেন বিদ্যুৎ, জ্বালানি ও খনিজ সম্পদ প্রতিমন্ত্রী নসরুল হামিদ। গতকাল

বিস্তারিত...

যেকোনো সময় গ্রেফতার আলেশা মার্টের চেয়ারম্যান, ৮ হাজার বাইক দিতে গড়িমসি

গ্রাহকের সঙ্গে ভয়াবহ প্রতারণা করেছে ই-কমার্স প্রতিষ্ঠান আলেশা মার্ট। ৮ হাজারের বেশি মোটরসাইকেলের অর্ডার নিয়ে ডেলিভারি না দিয়ে গ্রাহকদের মাসের পর মাস ঘোরাচ্ছে প্রতিষ্ঠানটি। এর বাইরে বিভিন্ন ধরনের আরও ৫

বিস্তারিত...

© All rights reserved © 2026